Grundstück Mönchengladbach Gerkerath - 549.000€ | Angebot:25743271 Grundstück Mönchengladbach Gerkerath - 549.000€ | Angebot:25743271 Grundstück Mönchengladbach Gerkerath - 549.000€ | Angebot:25743271
Grundstück Mönchengladbach Gerkerath - 549.000€ | Angebot:25743271 Grundstück Mönchengladbach Gerkerath - 549.000€ | Angebot:25743271 Grundstück Mönchengladbach Gerkerath - 549.000€ | Angebot:25743271

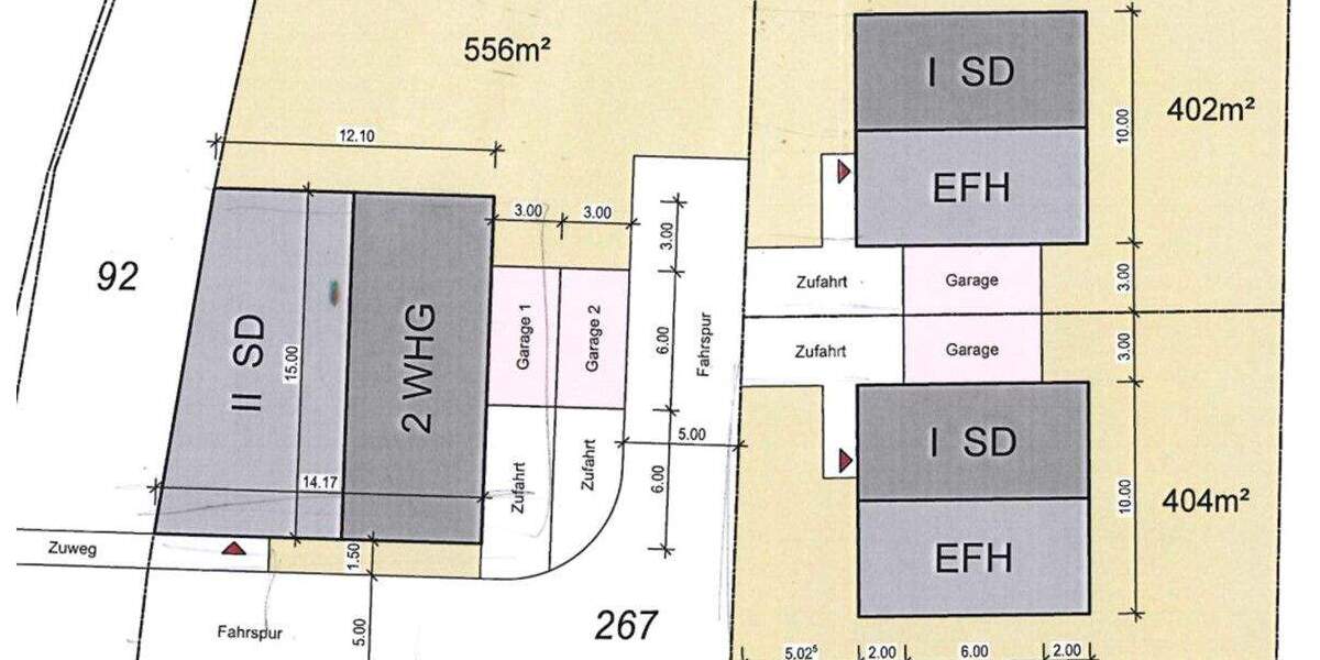
**RARITÄT**Traumgrundstück für 2 EFH und 1 ZFH in beliebter Lage von Gerkerath mit Bauvorbescheid***

Informationen zur Immobilie:
Ort
41179 Mönchengladbach
Objektart
Grundstück
Größe
ca.
549.000 €
Kaufpreis
Beschreibung:
Mehr zum Angebot **RARITÄT**Traumgrundstück für 2 EFH und 1 ZFH in beliebter Lage von Gerkerath mit Bauvorbescheid***:

In ruhiger und dennoch zentraler Lage von Mönchengladbach-Gerkerath bietet sich Ihnen eine seltene Gelegenheit:

Zum Verkauf steht ein großzügiges Grundstück mit einem bereits genehmigten Bauvorbescheid für vier Wohneinheiten.

Das durchdachte... mehr erfahren
weitere Grundstücke
social facebook social youtube social instagram social tiktok

Copyright © 2000 - 2026 | 1A Infosysteme GmbH | Content by: 1A-Anzeigenmarkt.de 19.04.2026